Photo Census

Serranus scriba feeding on brown algae.
Dactylopterus volatilis showing off its beautiful ¨wings.¨
Astropecten aranciacus camufflaged with the sea floor.
An Ascidian with obvious inhaling and exhaling tubes.
Unable to identify this organism. Do you have any clue?
Epizoanthus giveni and its long tentacles with which it feeds, taking in what the currents bring.
Branchiomma sp., a tube worm that builds its tube from calcareous deposit. As soon as you wiggle with a finger close to its suspension tentacles, it hides inside the tube.
Coscinasterias tenuispina reaching the shallowest sea floor (-1 meter).
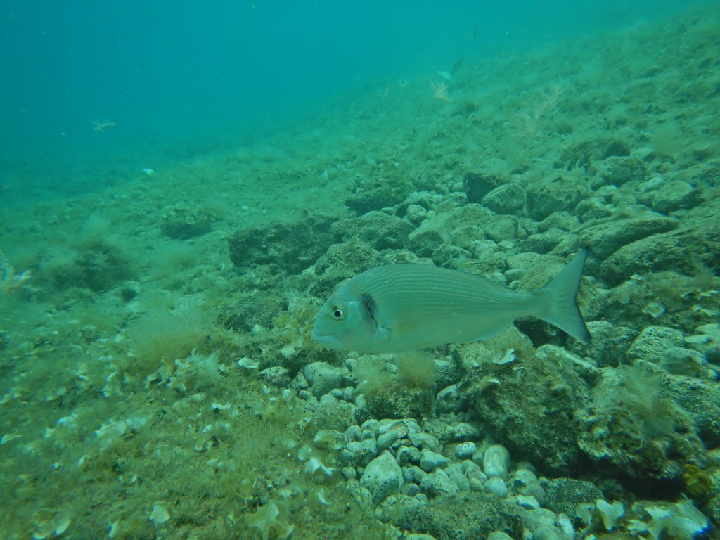
Sparus aurata without fear of being seen. My mouth started producing more saliva (even though I don’t eat fish).

Enjoy!

Leave a comment